『物件掲載希望』のオーナー様へ!
貸し倉庫・貸し倉庫マートでは、倉庫・工場・事業用地の物件情報を募集しております。
掲載希望のオーナー様はお気軽にお問合せ下さい。
現地取材後動画作成も行い、【YouTube、Instagram、Twitter】での情報発信も同時にさせていただいております。
もちろん掲載費用は無料です。
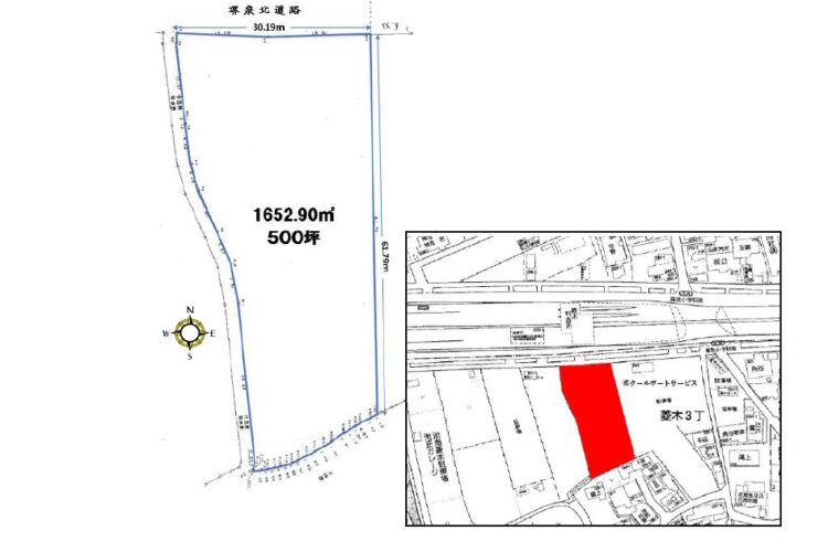
| 所在地 | 大阪府堺市西区菱木3丁 |
|---|---|
| 交通・アクセス | JR阪和線『北信太』駅 約3㎞、『富木』駅 約3.1㎞ 府道36号線(泉大津美原線)に面す 堺泉北道路 菱木IC 約800m 阪和自動車道 堺IC 約1.7㎞ |
| 賃料 | 900,000円(税別)/坪単価:1,800円 |
| 敷金 | 3ヶ月 |
| 土地面積 | 1,652.9㎡(約500坪) |
| 用途地域 | 指定なし(市街化調整区域) |
| 使用開始時期 | 契約より約1ヶ月後 |
| 備考 | *現況アスファルト舗装更地 *現況賃貸中 *上下水道引込済(メーター有り) 契約は借主にて行う *電気・ガスは引込未 引込等は借主にて行う *契約期間2年 *通常解約時敷金全額返還 契約満了以前の解約は返金無し *賠償保険加入必須 *指定保証会社加入必須(全保連) *市街化調整区域のため建築規制有り 運送業に係る事務所は可能 法令に定める範囲内 *近郊に住宅があるため、騒音・異臭等が発生する業種不可。 産廃置場、資材置場は不可 *大型トラック置場、配送センター等に最適 |
—終了致しました!—
大阪府堺市西区菱木の敷地面積約500坪の貸土地(借地)です!
▪ 府道36号線(泉大津美原線)沿い
▪ 堺泉北道路 菱木IC 約800m
▪ 阪和自動車道 堺IC 約1.7㎞
▪ アスファルト舗装更地
▪ 大型トラック置場、配送センター等に最適
▪ 運送業等の事務所設置は可能
泉大津美原線に間口約30m!
阪和道や堺泉北道路にアクセス良好!
大型トラック置場、配送センター等に最適!
詳細はお気軽にお問い合わせ下さい!
その他、大阪府南部の物件情報はこちら
➾【大阪府南部】
貸し倉庫・貸し倉庫マートでは、倉庫・工場・事業用地の物件情報を募集しております。
掲載希望のオーナー様はお気軽にお問合せ下さい。
現地取材後動画作成も行い、【YouTube、Instagram、Twitter】での情報発信も同時にさせていただいております。
もちろん掲載費用は無料です。