『物件掲載希望』のオーナー様へ!
貸し倉庫・貸し倉庫マートでは、倉庫・工場・事業用地の物件情報を募集しております。
掲載希望のオーナー様はお気軽にお問合せ下さい。
現地取材後動画作成も行い、【YouTube、Instagram、Twitter】での情報発信も同時にさせていただいております。
もちろん掲載費用は無料です。
| 所在地 | 大阪府大阪市住之江区泉2丁目1-91 |
|---|---|
| 交通・アクセス | 大阪メトロニュートラム線『平林』駅徒歩4分 住之江通に面す 阪神高速15号堺線 住之江IC 約2.4㎞ 阪神高速4号湾岸線 南港中IC 約2.5㎞ |
| 賃料 | 1,750,000円(税別)/坪単価:5,038円 |
| 保証金/解約引 | 6ヶ月/3ヶ月 |
| 土地面積 | 1,164.69㎡(352.31坪) |
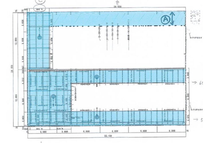
| 建物面積 | 1,148.10㎡(347.3坪) *備考欄、図面画像参照 |
| 建物構造 | 鉄骨造亜鉛メッキ鋼板葺平家建(一部棚有り) |
| 建築年月日 | 平成15年3月 |
| 用途地域 | 工業専用地域 |
| 使用開始時期 | 2026年4月16日(予定) |
| 備考 | *現況使用中で引渡しは2026年4月16日予定 *平屋倉庫:800.87㎡ 棚部分:347.30㎡(図面の青色部分) 床面積合計:1,148.10㎡(347.30坪) *天井高:約6m(梁下) 棚下:約2.7m *前面駐車荷捌きスペース広い(庇付き) *荷捌き地に独立事務所(約5坪)とトイレ(約1.25坪)有り *シャッター高さ:約3.5m *土地間口:約26m 奥行:44.8m *定期借地契約希望(期間は相談) *電気・水道使用料は実費 |
大阪府大阪市住之江区泉の延床面積約347坪の貸倉庫/工場です!
▪ ニュートラム『平林』駅徒歩4分
▪ 住之江通沿い角地
▪ 平屋倉庫+棚部分
▪ 平屋部分天井高い(約6m)
▪ 前面駐車荷捌きスペース広い(庇付き)
▪ 事務所有り
▪ 工業専用地域
駅徒歩4分、住之江通沿い角地!
使い易い天井高い平屋(一部棚有)!
駐車荷捌き場広い!
工業専用地域。
詳細はお気軽にお問い合わせ下さい!
その他、大阪市内ベイエリアの物件情報はこちら
➾【大阪市内ベイエリア】
貸し倉庫・貸し倉庫マートでは、倉庫・工場・事業用地の物件情報を募集しております。
掲載希望のオーナー様はお気軽にお問合せ下さい。
現地取材後動画作成も行い、【YouTube、Instagram、Twitter】での情報発信も同時にさせていただいております。
もちろん掲載費用は無料です。