『物件掲載希望』のオーナー様へ!
貸し倉庫・貸し倉庫マートでは、倉庫・工場・事業用地の物件情報を募集しております。
掲載希望のオーナー様はお気軽にお問合せ下さい。
現地取材後動画作成も行い、【YouTube、Instagram、Twitter】での情報発信も同時にさせていただいております。
もちろん掲載費用は無料です。
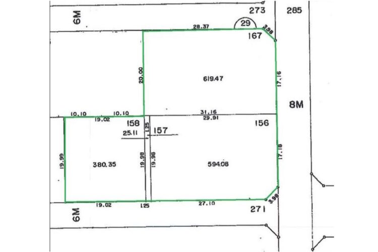
| 所在地 | 兵庫県姫路市白浜町宇佐崎中1丁目167 |
|---|---|
| 交通・アクセス | 山陽電気鉄道本線「八家」駅 徒歩6分 国道250号線 約200m 県道551号国分寺白浜線 約400m 姫路バイパス 姫路東ランプ 約2.1㎞ |
| 賃料 | 500,000円(税別)/坪単価:1,020円 |
| 敷金 | 4ヶ月 |
| 土地面積 | 1,619.01㎡(約489.75坪) *公簿 |
| 用途地域 | 第二種住居地域 |
| 前面道路幅員 | 画像参照 |
| 使用開始時期 | 即時(更地) |
| 設備 | 都市ガス,上水道,下水道 |
| 備考 | *土地造作及び建物建築については要相談 *駐車場契約時は消費税要 *ローソン 徒歩4分 |
兵庫県姫路市白浜町宇佐崎中の敷地面積約489坪の貸土地(借地)です!
▪ 角地、三方道路
▪ 山陽電気鉄道本線「八家」駅 徒歩6分
▪ 国道250号線すぐ
▪ 県道551号線すぐ
▪ 姫路バイパス 姫路東ランプ 約2.1㎞
角地、三方道路!
八家駅 徒歩6分!
国道250号線すぐ!
県道551号線すぐ!
姫路東ランプ 約2.1㎞!
詳細はお気軽にお問い合わせ下さい!
その他、兵庫県西部の物件情報はこちら
➾【兵庫県西部】
貸し倉庫・貸し倉庫マートでは、倉庫・工場・事業用地の物件情報を募集しております。
掲載希望のオーナー様はお気軽にお問合せ下さい。
現地取材後動画作成も行い、【YouTube、Instagram、Twitter】での情報発信も同時にさせていただいております。
もちろん掲載費用は無料です。