『物件掲載希望』のオーナー様へ!
貸し倉庫・貸し倉庫マートでは、倉庫・工場・事業用地の物件情報を募集しております。
掲載希望のオーナー様はお気軽にお問合せ下さい。
現地取材後動画作成も行い、【YouTube、Instagram、Twitter】での情報発信も同時にさせていただいております。
もちろん掲載費用は無料です。
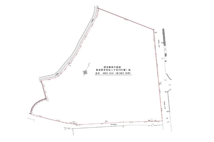
| 所在地 | 大阪府泉佐野市笠松2丁目2801-1 |
|---|---|
| 交通・アクセス | 南海本線『泉佐野』駅徒歩14分 JR関西空港線・南海本線『りんくうタウン』駅徒歩14分 阪神高速4号湾岸線 泉佐野南IC 約1㎞ 国道26号線(第二阪和国道)約1.3㎞ |
| 賃料 | 4,360,000円(税込)/坪単価:3,000円 |
| 保証金/解約引 | 12ヶ月/12ヶ月 |
| 礼金 | 1ヶ月 |
| 土地面積 | 4,804.33㎡(約1,453.30坪)*実測 |
| 用途地域 | 準工業地域 |
| 前面道路幅員 | 約5.8~6.35m(約63m接面) |
| 使用開始時期 | 相談 |
| 備考 | *現況整地中 *アスファルト舗装、外周フェンス仕上げ予定 *敷地形状、仕上げについては相談可 *契約期間2年(普通借地権契約) *駐車場、大型車両置場、資材置場、配送センター等に *現在は駐車場用地にて開発不要届出済み *りんくうプレミアムアウトレット約1.5㎞ |
大阪府泉佐野市笠松の敷地面積約1,453坪の貸土地(借地)です!
▪ 約1,450坪の大型貸土地
▪ りんくうタウン駅、南海泉佐野駅徒歩14分
▪ 阪神高速湾岸線 泉佐野南IC 約1㎞
▪ 現況整地中でアスファルト舗装、外周フェンス仕上げ予定
▪ 敷地形状、仕上げについては相談可
▪ 準工業地域
▪ 駐車場、大型車両置場、資材置場、配送センター等に
りんくうタウン付近、泉佐野南ICすぐの大型貸土地!
駐車場、大型車両置場、資材置場、配送センター等に!
準工業地域。
詳細はお気軽にお問い合わせ下さい!
その他、大阪府南部の物件情報はこちら
➾【大阪府南部】
貸し倉庫・貸し倉庫マートでは、倉庫・工場・事業用地の物件情報を募集しております。
掲載希望のオーナー様はお気軽にお問合せ下さい。
現地取材後動画作成も行い、【YouTube、Instagram、Twitter】での情報発信も同時にさせていただいております。
もちろん掲載費用は無料です。