『物件掲載希望』のオーナー様へ!
貸し倉庫・貸し倉庫マートでは、倉庫・工場・事業用地の物件情報を募集しております。
掲載希望のオーナー様はお気軽にお問合せ下さい。
現地取材後動画作成も行い、【YouTube、Instagram、Twitter】での情報発信も同時にさせていただいております。
もちろん掲載費用は無料です。
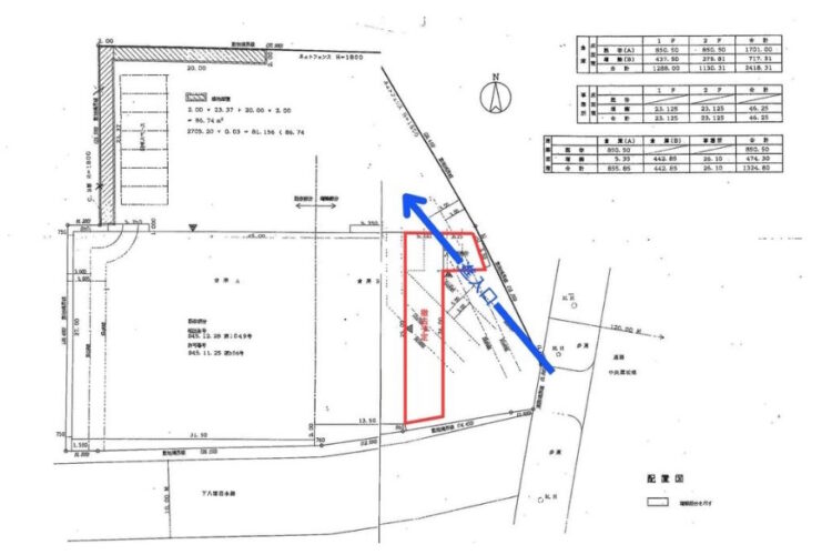
| 所在地 | 大阪府大阪市鶴見区安田4丁目3-1 |
|---|---|
| 交通・アクセス | 大阪メトロ長堀鶴見緑地線『鶴見緑地』駅徒歩22分 府道2号線(大阪中央環状線)に面す 近畿自動車道 大東鶴見IC 約600m 府道8号線(鶴見通)至近 |
| 賃料 | 4,180,000円(税込)/坪単価:5,840円 |
| 敷金 | 4ヶ月 |
| 礼金 | 2ヶ月 |
| 土地面積 | 2,629.52㎡(795.42坪) |
| 建物面積 | 1階:1,193.40㎡(361.00坪) 2階:1,139.40㎡(344.66坪) 新設事務所:33㎡(約10坪) 合計:2,365.8㎡(715.65坪) |
| 建物構造 | 鉄骨造2階建 |
| 建築年月日 | 1971年1月 |
| 用途地域 | 準住居地域・第一種住居地域 |
| 使用開始時期 | 相談 |
| 備考 | *契約期間3年 *改修工事予定 事務所解体しプレハブ事務所新設 北側駐車場直結電動シャッター新設 防塵塗装、LED新設 *北側大型駐車場約305坪付き *大型車搬入駐車可 *東側にも車寄せ、荷積駐車スペース有り *平成2年5月増築有り *検査済証有り *川を挟んで隣にマクドナルド *近隣飲食店多数 |
—終了致しました!—
大阪府大阪市鶴見区安田の延床面積約715坪の貸倉庫です!
▪ 延床700坪越え市内希少大型物件
▪ 府道2号線(大阪中央環状線)沿い
▪ 近畿自動車道 大東鶴見IC 約600m
▪ 北側大型駐車場約305坪付き
▪ 事務所新設、北側電動シャッター新設等改修工事予定
▪ 建物前にも駐車荷捌きスペース有り
▪ 大型車搬入駐車可能
延床700坪越え、300坪駐車場付きの市内希少大型物件!
中央環状線沿い!
大型車搬入駐車可!
詳細はお気軽にお問い合わせ下さい!
その他、大阪市内東部の物件情報はこちら
➾【大阪市内東部】
貸し倉庫・貸し倉庫マートでは、倉庫・工場・事業用地の物件情報を募集しております。
掲載希望のオーナー様はお気軽にお問合せ下さい。
現地取材後動画作成も行い、【YouTube、Instagram、Twitter】での情報発信も同時にさせていただいております。
もちろん掲載費用は無料です。