『物件掲載希望』のオーナー様へ!
貸し倉庫・貸し倉庫マートでは、倉庫・工場・事業用地の物件情報を募集しております。
掲載希望のオーナー様はお気軽にお問合せ下さい。
現地取材後動画作成も行い、【YouTube、Instagram、Twitter】での情報発信も同時にさせていただいております。
もちろん掲載費用は無料です。
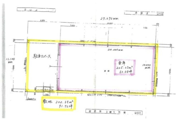
| 所在地 | 大阪府大阪市住之江区平林北2丁目6-100 |
|---|---|
| 交通・アクセス | ニュートラム『平林』駅徒歩16分 南港通約100m 阪神高速4号湾岸線 南港中IC約2.4km 阪神高速15号堺線 玉出IC 約2.8㎞ 阪神高速4号湾岸線・6号大和川線 三宝IC約4.9㎞ |
| 賃料 | 440,000円(税込)/坪単価:7,087円 |
| 保証金/解約引 | 2,640,000円/2ヶ月 |
| 土地面積 | 302.69㎡(91.56坪) |
| 建物面積 | 205.23㎡(62.08坪) *公簿 200㎡ |
| 建物構造 | 軽量鉄骨造スレート葺平屋建 |
| 建築年月日 | 昭和61年5月28日 |
| 用途地域 | 工業専用地域 |
| 前面道路幅員 | 約8m(間口約11.1m) |
| 使用開始時期 | 令和8年4月初旬以降 |
| 備考 | *契約期間3年(更新有り) *図面と現況が異なる場合現況優先 *倉庫前に奥行6.87m×幅11mの駐車スペース有り *臨海地区(工業港区) |
—終了致しました!—
大阪府大阪市住之江区平林北の延床面積約62坪の貸倉庫/工場です!
▪ 南港通すぐ
▪ 阪神高速湾岸線南港中IC、堺線玉出IC近い
▪ 使い易い天井高い平屋
▪ 駐車場約22坪有り、複数台駐車可
▪ 前面道路広々8m
▪ 臨港地区工業港区
▪ 工業専用地域
阪神高速湾岸線、堺線にアクセス良好!
使い易い天井高い平屋で駐車スペース約22坪有り!
工業専用地域。
詳細はお気軽にお問い合わせ下さい!
その他、大阪市内ベイエリアの物件情報はこちら
➾【大阪市内ベイエリア】
貸し倉庫・貸し倉庫マートでは、倉庫・工場・事業用地の物件情報を募集しております。
掲載希望のオーナー様はお気軽にお問合せ下さい。
現地取材後動画作成も行い、【YouTube、Instagram、Twitter】での情報発信も同時にさせていただいております。
もちろん掲載費用は無料です。