『物件掲載希望』のオーナー様へ!
貸し倉庫・貸し倉庫マートでは、倉庫・工場・事業用地の物件情報を募集しております。
掲載希望のオーナー様はお気軽にお問合せ下さい。
現地取材後動画作成も行い、【YouTube、Instagram、Twitter】での情報発信も同時にさせていただいております。
もちろん掲載費用は無料です。
| 所在地 | 大阪府大阪狭山市東野中4丁目656-1 |
|---|---|
| 交通・アクセス | 南海高野線『北野田』駅徒歩19分 府道36号線(泉大津美原線)に面す 国道309号線 約900m 阪和自動車道 美原南IC 約2.5㎞ 阪和自動車道 美原北IC 約3.2㎞ |
| 賃料 | 700,000円(税別) |
| 敷金 | 4ヶ月 |
| 礼金 | 2ヶ月 |
| 土地面積 | 1,140.2㎡(344.88坪) |
| 建物面積 | 199.53㎡(60.35坪) |
| 建物構造 | 鉄骨造亜鉛メッキ鋼板葺平屋建 |
| 建築年月日 | 平成26年11月 |
| 用途地域 | 無指定(市街化調整区域) |
| 前面道路幅員 | 北側:約4.8~5.0m(約35m接面)西側:約11~13m |
| 使用開始時期 | 即時 |
| 設備 | 上水道、下水道、電気、トイレ |
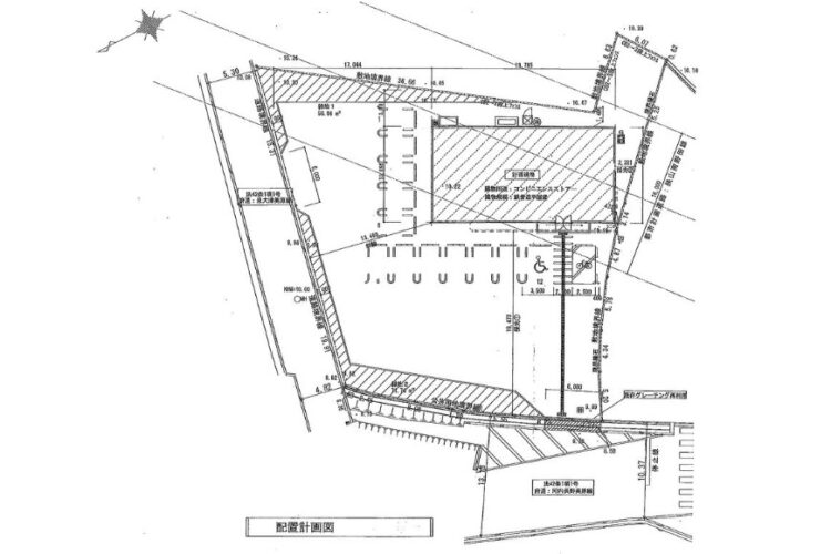
| 備考 | *現況空家 *現状有姿 *二方道路 *南側駐車場(別途6台)は対象外 別所有者で別途賃貸契約交渉可 *約12台駐車可 *駐輪場有り *電気系統一部残置、再利用可 *上水道引込管20㎜ *建物内トイレ3ヶ所有り *元コンビニ *都市計画法、関連法令に基づく事前協議、許可が必要な場合有り 使用用途の可否については行政への確認が必要 *契約形態要相談 *法22条区域 |
大阪府大阪狭山市東野中の延床面積約60坪の貸店舗/事務所/倉庫です!
▪ 泉大津美原線に面す
▪ 国道309号線 約900m
▪ 阪和道ICにアクセス
▪ 敷地約340坪有り駐車場12台以上可
▪ 元コンビニ店舗
▪ 二方道路で北側、西側から進入可能
▪ 南側駐車場は対象外(別途賃貸交渉可能)
▪ 店舗、事務所、営業所、車両置場等に
泉大津美原線沿い、二方道路!
駐車場12台!
店舗、事務所、営業所、車両置場等に!
詳細はお気軽にお問い合わせ下さい!
その他、大阪府南部の物件情報はこちら
➾【大阪府南部】
貸し倉庫・貸し倉庫マートでは、倉庫・工場・事業用地の物件情報を募集しております。
掲載希望のオーナー様はお気軽にお問合せ下さい。
現地取材後動画作成も行い、【YouTube、Instagram、Twitter】での情報発信も同時にさせていただいております。
もちろん掲載費用は無料です。