『物件掲載希望』のオーナー様へ!
貸し倉庫・貸し倉庫マートでは、倉庫・工場・事業用地の物件情報を募集しております。
掲載希望のオーナー様はお気軽にお問合せ下さい。
現地取材後動画作成も行い、【YouTube、Instagram、Twitter】での情報発信も同時にさせていただいております。
もちろん掲載費用は無料です。
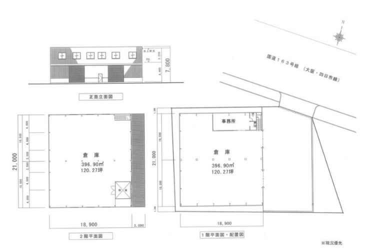
| 所在地 | 大阪府寝屋川市堀溝2丁目5-14 |
|---|---|
| 交通・アクセス | 京阪電鉄京阪線『萱島』駅徒歩20分 国道163号線(学研都市連絡道路)沿い 国道1号線(大阪北道路)約600m 国道170号線(内環状線)約800m |
| 賃料 | 1,150,000円(税別)/坪単価:4,936円 |
| 敷金 | 9,200,000円 |
| 礼金 | 2,530,000円(税込) |
| 土地面積 | 727.26㎡(219.99坪) |
| 建物面積 | 延床面積 770.20㎡(232.98坪) |
| 建物構造 | 鉄骨造2階建 |
| 建築年月日 | 平成2年3月 |
| 用途地域 | 準住居地域 |
| 使用開始時期 | 令和8年9月(期日指定) |
| 備考 | *現況賃貸中で引渡しは令和8年9月予定 *契約期間3年 *駐車スペース有り(前面空地) *倉庫内に事務所有り *大型車使用可 *徒歩圏に飲食店多数 |
大阪府寝屋川市堀溝の延床面積約232坪の貸倉庫です!
▪ 国道163号線(学研都市連絡道路)沿い
▪ 国道1号線(大阪北道路)約600m
▪ 倉庫内に事務所有り
▪ 駐車スペース有り
▪ 大型車使用可
▪ 徒歩圏に飲食店多数
国道沿い、大阪北道路すぐ!
事務所、駐車スペース有り!
大型車可です!
詳細はお気軽にお問い合わせ下さい!
その他、大阪府東部の物件情報はこちら
➾【大阪府東部】
貸し倉庫・貸し倉庫マートでは、倉庫・工場・事業用地の物件情報を募集しております。
掲載希望のオーナー様はお気軽にお問合せ下さい。
現地取材後動画作成も行い、【YouTube、Instagram、Twitter】での情報発信も同時にさせていただいております。
もちろん掲載費用は無料です。